Description
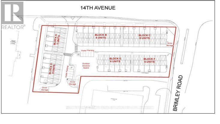
Power-of-sale residential redevelopment opportunity comprising a fully assembled development block with an approved planning framework. The property is subject to an approved Zoning By-law Amendment permitting a 39-unit freehold townhouse development, arranged in six blocks and accessed by a private condominium road. The approved concept provides for a total gross floor area of approximately 9,804 m (105,538 sq. ft.), an FSI of 1.09, and includes 10 visitor parking spaces and a shared outdoor amenity area. The zoning approval has been supported by the City of Markham and York Region, with servicing allocation confirmed for all 39 units. Key planning approvals are in place, and the remaining processes consist of Site Plan Approval, Draft Plan of Subdivision, Draft Plan of Condominium, and Exemption from Part Lot Control, all identified by staff as standard and administrative in nature, positioning the project to advance efficiently toward construction. (id:60351)
Overview
Fees & Taxes
Location
View larger mapListing Information
MLS#: N12811144
Information is deemed reliable but not guaranteed. Data provided by the Canadian Real Estate Association (CREA) through the Data Distribution Facility (DDF). Listing data is updated regularly but may not reflect the most current information. All information should be independently verified.
Powered by REALTOR.ca DDF
Interested in this property?
Get in touch for a private showing or more details about this listing.
Request InformationFree Home EvaluationOr call us directly
416-918-7814Mortgage Calculator
For illustration purposes only. Consult a mortgage professional for accurate rates.
Land Transfer Tax
Estimate based on Ontario LTT rates. Consult your lawyer for exact amounts.
Looking for Something Similar?
We can help you find properties matching your criteria, including exclusive listings not yet on the market.


