Description
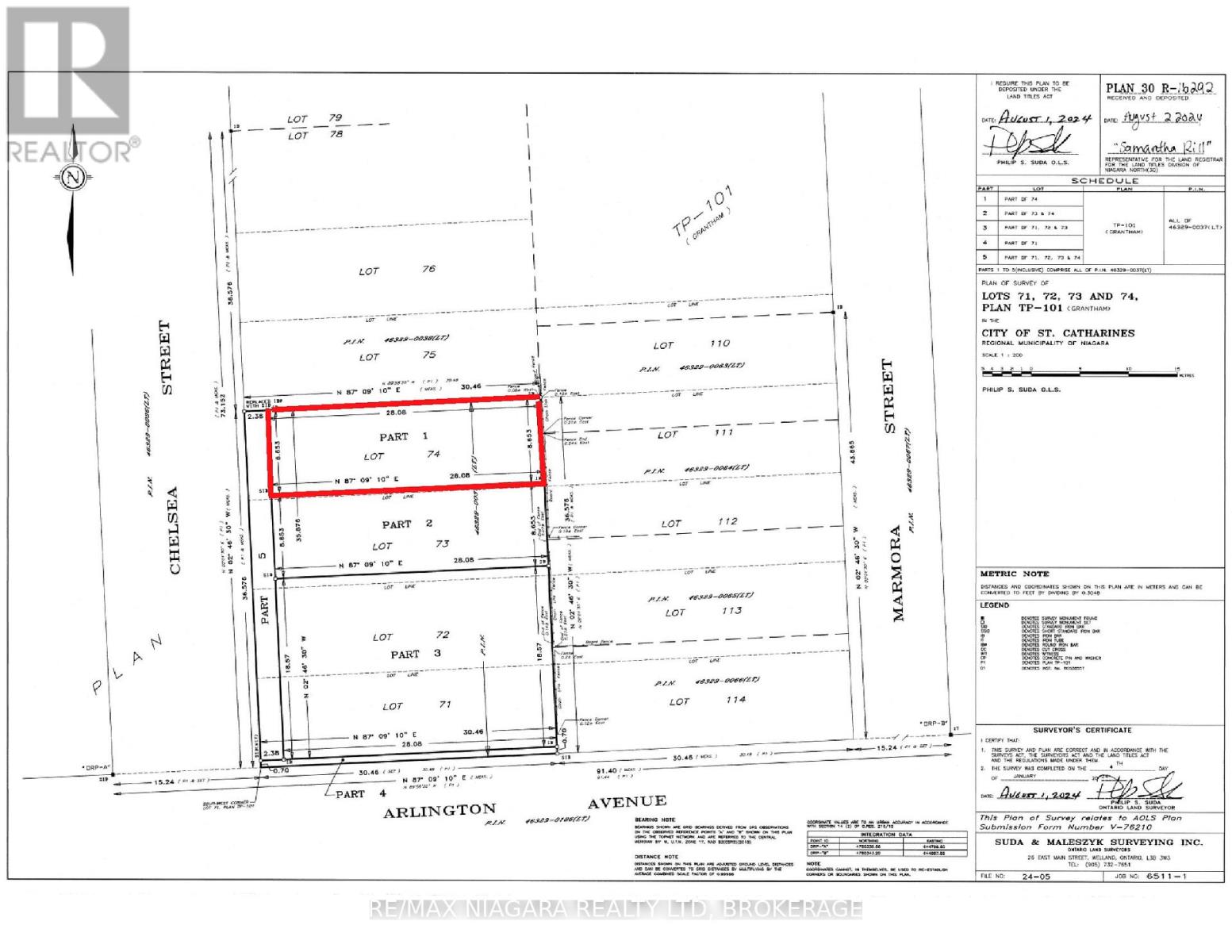
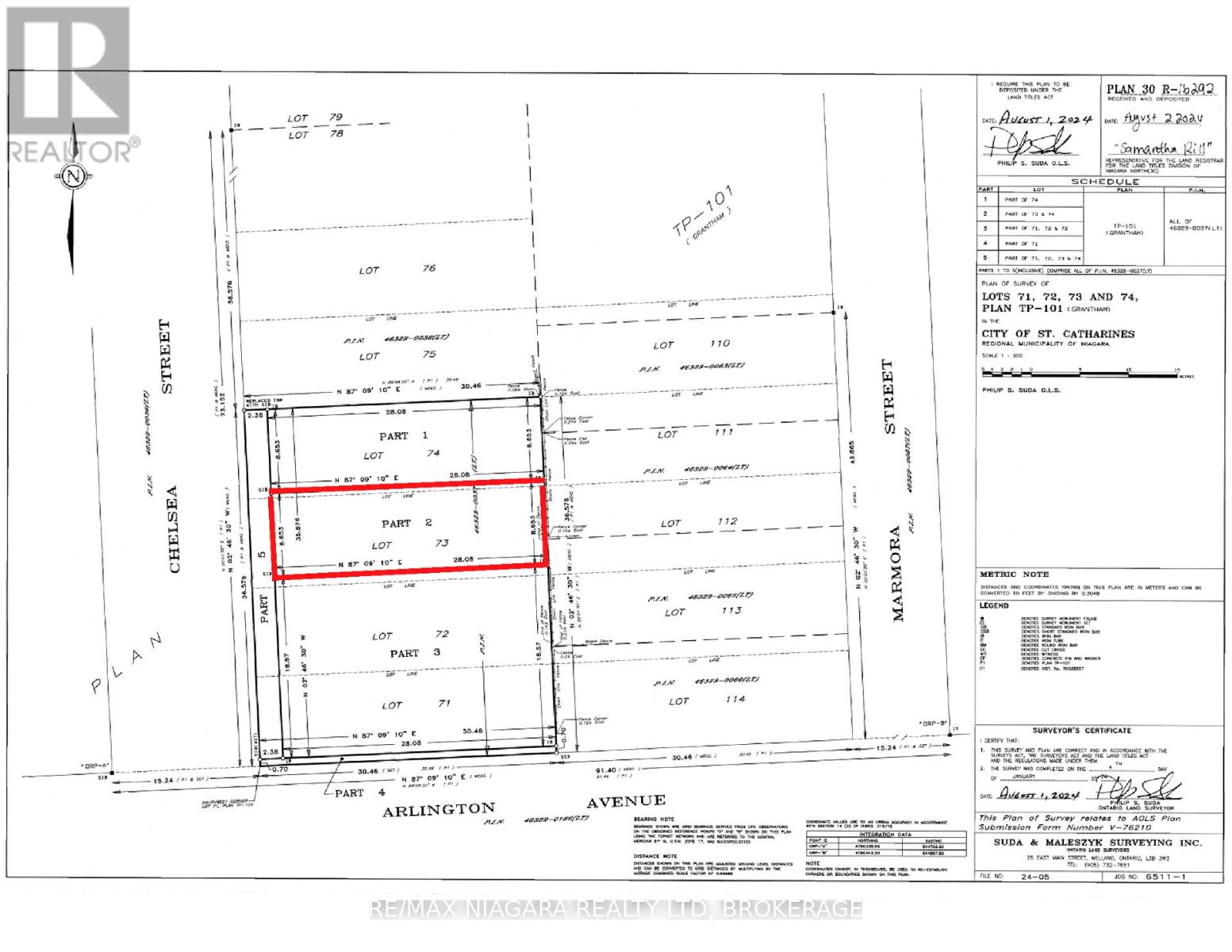
An excellent opportunity to acquire a centrally located parcel in the heart of St. Catharines. 32-34 Chelsea Street (Part 1 and Part 2) is ideal for buyers seeking a compact, low-maintenance property footprint with urban convenience. Situated in an established neighborhood, this property benefits from proximity to local amenities, public transit, schools, shopping, and downtown St. Catharines. The location provides easy access to major routes while maintaining a residential feel. Whether you are an investor, builder, or end user, this property presents a versatile opportunity in a growing market. Its modest dimensions suited for a semi detached dwelling. A rare chance to secure land in a mature area with strong long-term potential. Please note that services are at the lot line and the taxes have not yet been assessed. (id:60351)
Overview
Location
View larger mapListing Information
MLS#: X12750196
Information is deemed reliable but not guaranteed. Data provided by the Canadian Real Estate Association (CREA) through the Data Distribution Facility (DDF). Listing data is updated regularly but may not reflect the most current information. All information should be independently verified.
Powered by REALTOR.ca DDF
Interested in this property?
Get in touch for a private showing or more details about this listing.
Request InformationFree Home EvaluationOr call us directly
416-918-7814Mortgage Calculator
For illustration purposes only. Consult a mortgage professional for accurate rates.
Land Transfer Tax
Estimate based on Ontario LTT rates. Consult your lawyer for exact amounts.
Looking for Something Similar?
We can help you find properties matching your criteria, including exclusive listings not yet on the market.



